Nacional
Huracán Ernesto tocó tierra en Bermudas este sábado

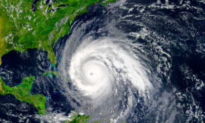
El huracán Ernesto tocó tierra en el territorio de Bermudas en la madrugada de este sábado mientras los residentes se ponían a cubierto.
Ernesto de categoría 1, se situó directamente sobre el territorio a las 06:00 horas del sábado, con vientos máximos sostenidos de 140 kilómetros/hora.
El Centro Nacional de Huracanes de Estados Unidos (NHC, por sus siglas en inglés) advirtió de fuertes vientos, una peligrosa marejada ciclónica y de importantes inundaciones en la costa.
Ernesto podría arrojar entre 15 y 22 centímetros de lluvia en el territorio, agregó. «Estas precipitaciones podrían causar inundaciones repentinas posiblemente letales, especialmente en zonas bajas de la isla».
Debido al gran tamaño del meteoro y a su lento avance, se espera que los vientos huracanados continúen hasta el sábado por la tarde y los de fuerza de tormenta tropical hasta bien entrado el domingo, dijo el gobierno de Bermudas. Ernesto avanzaba en dirección norte-noreste a 15 km/h..
El NHC reportó marejadas y corrientes de resaca potencialmente mortales en la costa este de Estados Unidos y dijo que llegarían a Canadá a lo largo del día. Se espera que Ernesto pase cerca o al este de Terranova el lunes por la noche.











